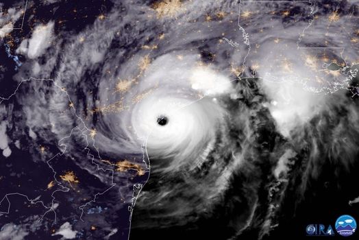
The Category 4 storm is the worst to hit the US in 12 years.
Winds of up to 130mph have been recorded in Texas as Hurricane Harvey, the worst storm to hit the United States in 12 years, has made landfall in the second biggest state in the country.
Up to one metre of rain is expected to fall and winds in excess of 130pmh are expected to hit Texas as a result of the storm, which is the worst to hit the country since 2005. It has since been downgraded to Category 3 status.
President Donald Trump has signed a disaster proclamation for the state of Texas, which will free up federal aid for the areas worst affected by the storm.
At the request of the Governor of Texas, I have signed the Disaster Proclamation, which unleashes the full force of government help!
— Donald J. Trump (@realDonaldTrump) August 26, 2017
We will remain fully engaged w/ open lines of communication as #HurricaneHarvey makes landfall. America is w/ you! @GovAbbott @FEMA @DHSgov pic.twitter.com/PryIqRxgLr
— Donald J. Trump (@realDonaldTrump) August 26, 2017
A police officer in Aransas, Texas, captured the moment winds from the hurricane stripped the roof from a building in the Gulf Coast port city on Friday.
The video, posted by Aransas Pass Police Department, captured the harbor master’s office being damaged in the storm and the roof being stripped from the building in the process.
Clip via Facebook/Aransas Pass Police Department via Storyful
In Corpus Christi, meanwhile, trees were toppled in a residential neighbourhood before the worst of the storm hit, with Hurricane Harvey expected to make landfall in the area in the early hours of Saturday morning.
Clip via Facebook/Sylvia Lopez via Storyful
LISTEN: You Must Be Jokin’ podcast – listen to the latest episode now!
