http://www.youtube.com/watch?v=hPVXMPJDXTA
It was expected to be one of the most ferocious storms ever recorded and some of the footage of Super Typhoon Haiyan on the ground in the Philippines looks absolutely terrifying.
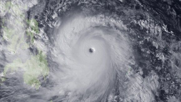
Satellite pictures that emerged earlier today painted an ominous picture of what was in store for the Philippines from one of the strongest storms the world has ever seen and it has already begun to wreak havoc, with the Wall Street Journal reporting that at least three people have already been killed.
The storm has caused bouts of flooding, toppled trees, property damage and power cuts although evacuation procedures put in place ahead of the storm appear to have had a measure of success.
Video footage of the intensity of the storm has emerged and as you would expect with winds in excess of 200mph, it is quite terrifying to look at.
http://www.youtube.com/watch?v=CKlwkboM0N4
Our thoughts go out to all those affected.
Hat-tip: Liveleak
LISTEN: You Must Be Jokin’ podcast – listen to the latest episode now!
