Open main menu
Search icon
Search icon
Open main menu
All sections
News
Movies & TV
Quiz
Sport
Politics
Life
Keep Discovering
Close menu
CATEGORIES
Sport
News
Movies & TV
Life
Quiz
Politics
Fitness & Health
Food
CATEGORIES
Sport
News
Movies & TV
Life
Quiz
Politics
Fitness & Health
Food
More
About JOE
Contact JOE
User Generated Content
Terms & Conditions
Privacy Statement
Our Brands
JOE
Sports JOE
Her
Her Family
Lovin
Lovin Dublin
Gay Star News
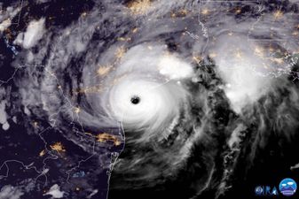
Hurricane
News
WATCH: Winds of up to 180 mph batter the Caribbean as Hurricane Irma unleashes its full force
By Conor Heneghan
News
WATCH: Hurricane Harvey topples trees and tears the roof of a building in Texas
By Conor Heneghan
Life
VIDEO: Watch the terrifying moment a plane flies into the strongest landfalling hurricane ever recorded
By Carl Kinsella
1
2