Open main menu
Search icon
Search icon
Open main menu
All sections
News
Movies & TV
Quiz
Sport
Politics
Life
Keep Discovering
Close menu
CATEGORIES
Sport
News
Movies & TV
Life
Quiz
Politics
Fitness & Health
Food
CATEGORIES
Sport
News
Movies & TV
Life
Quiz
Politics
Fitness & Health
Food
More
About JOE
Contact JOE
User Generated Content
Terms & Conditions
Privacy Statement
Our Brands
JOE
Sports JOE
Her
Her Family
Lovin
Lovin Dublin
Gay Star News
Storm
Uncategorized
Pic: Holy sh*t; here’s what the big storm battering Ireland looks like
By JOE
News
Bystanders injured and extensive damage caused as the roof of Cork’s Kent Train Station is torn off in high winds
By JOE
News
Pic: Breathtaking image of Typhoon Haiyan from the International Space Station
By JOE
News
Video: Terrifying footage of Super Typhoon Haiyan hitting the Philippines
By JOE
News
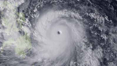
Holy sh*t, look at the size of the super typhoon about to hit the Philippines
By JOE
Sport
Video: Terrifying clip shows surfer riding what could be the world’s largest wave
By JOE
Life
Video: Jaysus. Man captures moment he was struck by lightning on camera
By Conor Heneghan
1
2
…
7
8